Winnenden

Wegen Artemisia: Razzia in Winnenden bei Hans-Martin Hirt und Teemana

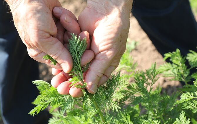
Artemisia Annua
Artemisia – diese Pflanze, auf deren Heilkräfte als Tee viele Winnender schwören, steht im Mittelpunkt der Affäre, die jetzt sogar zu Hausdurchsuchungen geführt hat. © Benjamin Büttner

Die Affäre um den Kräutertee Artemisia aus Winnenden hat am Dienstag eine neue Dimension erreicht. Am Vormittag ließ die Staatsanwaltschaft Stuttgart die Privaträume des Apothekers Hans-Martin Hirt sowie der Winnender Teemana-Geschäftsführerin, Hirts Geschäftsräume in der Paulinenstraße und der Firma Teemana in Sindelfingen durchsuchen. Ware und Dokumente wurden beschlagnahmt. Apotheker Hirt hat die Redaktion am Montag selbst darüber informiert. Die Staatsanwaltschaft Stuttgart ermittelt